Image
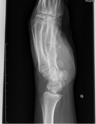
Fracture du poignet
17.08.2023

Un patient se présente pour des douleurs au niveau du poignet gauche, suite à une chute à vélo avec réception sur la paume de la main. Cliniquement, nous observons un œdème au niveau du dos de la main, des douleurs à la mobilisation du poignet avec une discrète limitation de l’extension et une prono-supination conservée.

La radiographie effectuée révèle une fracture du triquétrum. Les fractures du triquétrum (ou os pyramidal) sont les fractures du poignet les plus fréquentes après celles du scaphoïde, représentant 13% des fractures des os du carpe. Elles résultent habituellement d’une chute sur la main en hyperextension et déviation ulnaire. Elle est fréquemment retrouvée chez des pratiquant·es de sports de combat.

Il existe trois types de fractures du triquetrum : les fractures corticales dorsales, les fractures du corps et les fractures corticales palmaires. Pour ce patient, il s’agit d’une fracture de type 1 (95% des cas), qui est une fracture par avulsion associée à des lésions des ligaments dorsaux du carpe et considérée comme une « entorse grave du poignet ».

Les fractures corticales dorsales sont les plus courantes et sont généralement bénignes, tandis que les fractures corticales palmaires sont les moins courantes et peuvent poser des problèmes. 

La clinique est aspécifique mais le diagnostic doit être évoqué face à des douleurs sur le côté ulnaire du carpe, après une chute main en extension. Les fractures du triquetrum passent facilement inaperçues sur les radiographies conventionnelles du poignet, mais elles sont souvent associées à des lésions ligamentaires importantes conduisant à une instabilité du carpe, ou évoluent vers une pseudarthrose. Un complément par CT (ou IRM) peut être nécessaire afin de confirmer le diagnostic et préciser les lésions.

La prise en charge est la plupart du temps conservatrice avec une immobilisation rigide par attelle AB pendant 3-6 semaines, avec généralement de bons résultats. Le traitement chirurgical est indiqué pour les fractures présentant un déplacement important ou des signes d'instabilité. Les complications des fractures du triquetrum comprennent les lésions du complexe fibrocartilagineux triangulaire (TFCC) et l'arthrite pisotriquetrale.